Kim ngạch xuất khẩu của 4 địa phương vùng ĐBSCL đạt trên 1 tỷ USD
Kim ngạch xuất khẩu của 4 địa phương vùng ĐBSCL đạt trên 1 tỷ USD

VOV.VN - Vùng ĐBSCL là vùng kinh tế trọng điểm của cả nước, đóng góp quan trọng trong đảm bảo an ninh lương thực và xuất khẩu hàng hóa nông sản xuất khẩu của quốc gia. Trong đó có nhiều mặt hàng đóng góp tỷ USD cho ngành nông nghiệp như thủy sản, trái cây, lúa gạo và các mặt hàng này đang được các địa phương đẩy mạnh xúc tiến vào các thị trường tiềm năng để nâng cao giá trị của các mặt hàng.

Kim ngạch xuất khẩu của 4 địa phương vùng ĐBSCL đạt trên 1 tỷ USD
Va chạm giữa xe khách và xe mô tô làm 2 người tử vong
Va chạm giữa xe khách và xe mô tô làm 2 người tử vong

VOV.VN - Công an thị xã Hoài Nhơn, tỉnh Bình Định đang điều tra, làm rõ vụ tai nạn giữa xe khách và mô tô khiến 2 người tử vong. 

Va chạm giữa xe khách và xe mô tô làm 2 người tử vong
Đến 17h00 ngày 15/9 số tiền vận động ủng hộ đồng bào lũ lụt là 1.094 tỷ đồng
Đến 17h00 ngày 15/9 số tiền vận động ủng hộ đồng bào lũ lụt là 1.094 tỷ đồng

VOV.VN - Tính đến 17h00 ngày 15/9/2024, các tổ chức, cá nhân đã ủng hộ bằng tiền mặt và chuyển về tài khoản của Ban Vận động Cứu trợ Trung ương là 1.094 tỷ đồng (Một nghìn không trăm chín tư tỷ đồng).

Đến 17h00 ngày 15/9 số tiền vận động ủng hộ đồng bào lũ lụt là 1.094 tỷ đồng
Sạt lở tại Cao Bằng: Bất ngờ liên hệ được một người mất tích
Sạt lở tại Cao Bằng: Bất ngờ liên hệ được một người mất tích

VOV.VN - Trong số các nạn nhân mất tích tại huyện Nguyên Bình, Cao Bằng, lực lượng chức năng đã liên hệ được với 1 người được cho mất tích trên chiếc xe khách 29 chỗ gặp nạn.

Sạt lở tại Cao Bằng: Bất ngờ liên hệ được một người mất tích
Vụ xe khách bị lũ cuốn trôi ở Cao Bằng: Tìm thấy thêm 2 thi thể
Vụ xe khách bị lũ cuốn trôi ở Cao Bằng: Tìm thấy thêm 2 thi thể

Đến 14 giờ 00 phút ngày 15/9, lực lượng tìm kiếm cứu nạn, cứu hộ tiếp tục tìm thấy 2 thi thể nạn nhân sạt lở tại xóm Khuổi Ngọa, xã Ca Thành (Nguyên Bình).

Vụ xe khách bị lũ cuốn trôi ở Cao Bằng: Tìm thấy thêm 2 thi thể
Ngày đêm dựng lán trại, di chuyển dân khỏi vùng nguy cơ sạt lở ở Sơn La
Ngày đêm dựng lán trại, di chuyển dân khỏi vùng nguy cơ sạt lở ở Sơn La

VOV.VN - Trước tình trạng sạt lở đất và những vết nứt lớn xuất hiện tại nhà dân, nhà văn hoá, điểm trường học... cán bộ, chiến sĩ các lực lượng cùng cấp ủy, chính quyền địa phương ở Sơn La đang ngày đêm túc trực, dựng lán trại, di chuyển dân khỏi khu vực có nguy cơ, đảm bảo an toàn tính mạng cho bà con.

Ngày đêm dựng lán trại, di chuyển dân khỏi vùng nguy cơ sạt lở ở Sơn La
Điện lực Lào Cai chạy đua thời gian cấp điện trở lại sau mưa lũ
Điện lực Lào Cai chạy đua thời gian cấp điện trở lại sau mưa lũ

VOV.VN - Cấp điện trở lại sau mưa lũ là nhiệm vụ chính trị quan trọng mà ngành điện Lào Cai đang nỗ lực từng phút, từng giờ trong suốt những ngày qua.

Điện lực Lào Cai chạy đua thời gian cấp điện trở lại sau mưa lũ
Tàu SE6 trật bánh tại khu vực Lăng Cô
Tàu SE6 trật bánh tại khu vực Lăng Cô

VOV.VN - Chiều 15/9, ngành đường sắt huy động lực lượng, phương tiện tổ chức khắc phục sự cố tàu SE6 trật bánh tại khu vực thị trấn Lăng Cô, huyện Phú Lộc, tỉnh Thừa Thiên Huế. Vụ trật bánh tàu SE6 xảy ra vào lúc khoảng 12 giờ 30 phút trưa nay, tại khu vực cầu Hói Mít, thuộc tổ dân phố An Cư Tây, thị trấn Lăng Cô.

Tàu SE6 trật bánh tại khu vực Lăng Cô
Những chuyến hàng vượt ngàn cây số đến với vùng thiên tai Cao Bằng
Những chuyến hàng vượt ngàn cây số đến với vùng thiên tai Cao Bằng

VOV.VN - Hàng hóa, lương thực, nhu yếu phẩm... từ Đắk Lăk đã được vận chuyển và trao đến tận tay người dân các vùng bị thiên tai của tỉnh biên giới Cao Bằng. Những chuyến hàng tình nghĩa, thể hiện tinh thần tương thân, tương ái của người Việt Nam trong cơn hoạn nạn.

Những chuyến hàng vượt ngàn cây số đến với vùng thiên tai Cao Bằng
Bình Dương yêu cầu rào chắn khu vực nguy hiểm sau nhiều vụ người bị nước cuốn
Bình Dương yêu cầu rào chắn khu vực nguy hiểm sau nhiều vụ người bị nước cuốn

VOV.VN - Hôm nay (15/9), Văn phòng Tỉnh ủy Bình Dương có Công văn số 4356 về việc tăng cường chỉ đạo ứng phó sự cố, tìm kiếm cứu nạn do ảnh hưởng của thiên tai.

Bình Dương yêu cầu rào chắn khu vực nguy hiểm sau nhiều vụ người bị nước cuốn
Đoàn xe hàng xuất phát từ Kon Tum hướng về vùng bão lũ Tuyên Quang
Đoàn xe hàng xuất phát từ Kon Tum hướng về vùng bão lũ Tuyên Quang

VOV.VN - Sau 4 ngày tổ chức quyên góp, nhóm từ thiện ở tỉnh Kon Tum đã nhận được hàng chục tấn hàng hoá thiết yếu từ các đơn vị, doanh nghiệp và nhà hảo tâm ủng hộ. Chiều nay (15/9), đoàn xe tải chở hàng bắt đầu xuất phát từ tỉnh Kon Tum hướng về người dân vùng bão lũ tỉnh Tuyên Quang.

Đoàn xe hàng xuất phát từ Kon Tum hướng về vùng bão lũ Tuyên Quang
Lào Cai di dời 115 người dân thôn Kho Vàng lánh trên đỉnh núi xuống nơi an toàn
Lào Cai di dời 115 người dân thôn Kho Vàng lánh trên đỉnh núi xuống nơi an toàn

VOV.VN - Công an tỉnh Lào Cai đã phối hợp với UBND huyện Bắc Hà triển khai phương án di dời 115 người dân xuống núi tới nơi tạm lánh an toàn hơn tại trung tâm xã Cốc Lầu, đảm bảo đủ cơ sở vật chất.

Lào Cai di dời 115 người dân thôn Kho Vàng lánh trên đỉnh núi xuống nơi an toàn
Một nạn nhân vụ lũ quét ở Làng Nủ không qua khỏi
Một nạn nhân vụ lũ quét ở Làng Nủ không qua khỏi

VOV.VN - Nam thanh niên gặp nạn trong vụ lũ quét vùi lấp cả bản ở Lào Cai được chuyển đến Bệnh viện Bạch Mai điều trị đã không qua khỏi.

Một nạn nhân vụ lũ quét ở Làng Nủ không qua khỏi
Công bố danh sách chuyển tiền hỗ trợ đợt 1 cho 20 địa phương bị ảnh hưởng bão
Công bố danh sách chuyển tiền hỗ trợ đợt 1 cho 20 địa phương bị ảnh hưởng bão

VOV.VN - Ban Vận động Cứu trợ Trung ương sẽ tiếp tục cập nhật và công khai danh sách các tổ chức, cá nhân ủng hộ và việc phân bổ nguồn lực hỗ trợ đến các địa phương chịu thiệt hại bởi cơn bão số 3 trên các phương tiện thông tin đại chúng.

Công bố danh sách chuyển tiền hỗ trợ đợt 1 cho 20 địa phương bị ảnh hưởng bão
Tìm thấy thi thể nam thanh niên sau 3 ngày lật xuồng mất tích
Tìm thấy thi thể nam thanh niên sau 3 ngày lật xuồng mất tích

VOV.VN - Sáng 15/9, ông Nguyễn Minh Tánh, Chủ tịch UBND xã Đạ Lây, huyện Đạ Tẻh, tỉnh Lâm Đồng cho biết, sau 3 ngày nỗ lực tìm kiếm nam thanh niên mất tích do lật xuồng trên sông Đồng Nai, lực lượng chức năng đã tìm thấy thi thể nạn nhân.

Tìm thấy thi thể nam thanh niên sau 3 ngày lật xuồng mất tích
Thêm 18 người mất tích tại Làng Nủ được xác minh còn sống
Thêm 18 người mất tích tại Làng Nủ được xác minh còn sống

VOV.VN - Theo thông tin từ Ban chỉ đạo tìm kiếm cứu hộ tại Làng Nủ, xã Phúc Khánh, huyện Bảo Yên, tỉnh Lào Cai, đến 11 giờ trưa nay (15/9) thêm 18 người đã cho là mất tích được xác minh là còn sống. Như vậy cùng với 11 người trở về trình báo vào ngày 13 và 14/9, đến nay đã có 29 người được cho là mất tích được xác minh còn sống.

Thêm 18 người mất tích tại Làng Nủ được xác minh còn sống
Không tìm thấy thi thể trong xe đầu kéo mắc kẹt dưới cầu Phong Châu
Không tìm thấy thi thể trong xe đầu kéo mắc kẹt dưới cầu Phong Châu

VOV.VN - Lực lượng chức năng với thiết bị lặn chuyên dụng đã tiếp cận được vị trí phát hiện ô tô đầu kéo BKS 19R-011.11 đang mắc kẹt sau vụ sập cầu Phong Châu (Phú Thọ) nhưng không thấy thi thể nào trong ca bin.

Không tìm thấy thi thể trong xe đầu kéo mắc kẹt dưới cầu Phong Châu
Tìm thấy nạn nhân cuối cùng trong vụ sập nhà điều hành nhà máy Thủy điện Bắc Hà
Tìm thấy nạn nhân cuối cùng trong vụ sập nhà điều hành nhà máy Thủy điện Bắc Hà

VOV.VN - Ngày 14/9, các lực lượng chức năng đã cho máy khoan; công binh sử dụng thuốc nổ, phá  đá đưa máy xúc vào phục vụ tìm kiếm các nạn nhân mất tích tại xã Nậm Lúc, huyện Bắc Hà, tỉnh Lào Cai.

Tìm thấy nạn nhân cuối cùng trong vụ sập nhà điều hành nhà máy Thủy điện Bắc Hà
Chuyên gia chỉ ra nhiều điểm bất thường mà bão số 3 (Yagi) gây ra
Chuyên gia chỉ ra nhiều điểm bất thường mà bão số 3 (Yagi) gây ra

VOV.VN - Bão số 3 (Yagi) có nhiều điểm bất thường gây thiệt hại rất nặng nề về người và tài sản của nhân dân và Nhà nước.

Chuyên gia chỉ ra nhiều điểm bất thường mà bão số 3 (Yagi) gây ra
Sau bão số 3, Hải Phòng đóng cửa 41 chung cư cũ, hỗ trợ người dân an cư
Sau bão số 3, Hải Phòng đóng cửa 41 chung cư cũ, hỗ trợ người dân an cư

VOV.VN - TP Hải Phòng hiện có hơn 70 chung cư cũ, khá nhiều trong số đó được xây dựng từ những năm 60 của thế kỷ trước và hiện đã xuống cấp do quá trình sử dụng. Đặc biệt, sau trận bão số 3 vừa qua, các chung cư này càng hư hỏng nặng, thậm chí có nguy cơ đổ sập bất cứ lúc nào.

Sau bão số 3, Hải Phòng đóng cửa 41 chung cư cũ, hỗ trợ người dân an cư
2 anh em ruột ở Huế tử vong trong vụ sạt lở ở Yên Bái được đưa về nhà
2 anh em ruột ở Huế tử vong trong vụ sạt lở ở Yên Bái được đưa về nhà

VOV.VN - Tối 9/9, trong lúc 2 anh em ruột quê ở xã Phú Mậu, thành phố Huế đang ở tại một ngôi nhà 2 tầng trên địa bàn tỉnh Yên Bái thì đất trên đồi bất ngờ sạt lở, đè sập ngôi nhà khiến 2 anh em tử vong. Đến sáng ngày 13/9, thi thể của 2 nạn nhân đã được đưa về nhà ở thôn Lại Ân, xã Phú Mậu lo hậu sự.

2 anh em ruột ở Huế tử vong trong vụ sạt lở ở Yên Bái được đưa về nhà
Đà Nẵng trao hàng ngàn phần quà trung thu tặng trẻ em nghèo, con công nhân khó khăn
Đà Nẵng trao hàng ngàn phần quà trung thu tặng trẻ em nghèo, con công nhân khó khăn

VOV.VN - Dịp Tết Trung thu năm nay, thành phố Đà Nẵng hỗ trợ 3.200 suất quà tặng trẻ em nghèo, trẻ em là con công nhân lao động hoàn cảnh khó khăn, mỗi suất quà trị giá 500.000 đồng.

Đà Nẵng trao hàng ngàn phần quà trung thu tặng trẻ em nghèo, con công nhân khó khăn
Bắc Ninh rút lệnh báo động số 3 trên sông Cầu
Bắc Ninh rút lệnh báo động số 3 trên sông Cầu

VOV.VN - Ngày 15/9, Ban Chỉ huy phòng, chống thiên tai và tìm kiếm cứu nạn tỉnh Bắc Ninh đã ra công điện số 17/CĐ thông báo rút lệnh báo động số 3 trên triền sông Cầu và rút lệnh báo động số 2 trên triền sông Thái Bình.

Bắc Ninh rút lệnh báo động số 3 trên sông Cầu
Diễn biến mới nhất về tìm kiếm nạn nhân vùng lũ Làng Nủ
Diễn biến mới nhất về tìm kiếm nạn nhân vùng lũ Làng Nủ

VOV.VN - Công tác cứu nạn, cứu hộ, tìm kiếm nạn nhân mất tích tại thôn Làng Nủ, xã Phúc Khánh, huyện Bảo Yên, tỉnh Lào Cai tiếp tục trong điều kiện thời tiết nắng nóng, gây khó khăn cho các lực lượng tìm kiếm.

Diễn biến mới nhất về tìm kiếm nạn nhân vùng lũ Làng Nủ
Tìm thấy thi thế, xác định danh tính nạn nhân đầu tiên trong vụ sập cầu Phong Châu
Tìm thấy thi thế, xác định danh tính nạn nhân đầu tiên trong vụ sập cầu Phong Châu

VOV.VN - Lãnh đạo huyện Tam Nông, Phú Thọ cho biết, nạn nhân đầu tiên của vụ sập cầu Phong Châu ngày 9/9 đã được tổ công tác cứu nạn tìm thấy là bà Nguyễn Thị Hường. Thi thể nạn nhân đầu tiên được tìm thấy cách hiện trường khoảng 10km.

Tìm thấy thi thế, xác định danh tính nạn nhân đầu tiên trong vụ sập cầu Phong Châu
Công đoàn EVNNPC: Thắm đượm nghĩa tình sau bão lũ
Công đoàn EVNNPC: Thắm đượm nghĩa tình sau bão lũ

VOV.VN - Tất cả các đơn vị thành viên, người lao động của Tổng công ty Điện lực miền Bắc (EVNNPC) đang mang tinh thần quyết tâm cao nhất, chung sức đồng lòng khắc phục sự cố lưới điện để khẩn trương cấp điện trở lại phục vụ sản xuất và đời sống của nhân dân.

Công đoàn EVNNPC: Thắm đượm nghĩa tình sau bão lũ
Xúc động những hình ảnh tiếp sức người dân Làng Nủ và vùng lũ
Xúc động những hình ảnh tiếp sức người dân Làng Nủ và vùng lũ

VOV.VN - Ở những nơi lũ bắt đầu rút, nhiều đoàn cứu trợ tiếp tục vận chuyển những chuyến hàng “0 đồng” từ khắp cả nước... đến vùng lũ, vùng cao để trao tận tay các hộ gia đình gặp khó khăn, bị thiệt hại do bão lụt gây ra.

Xúc động những hình ảnh tiếp sức người dân Làng Nủ và vùng lũ
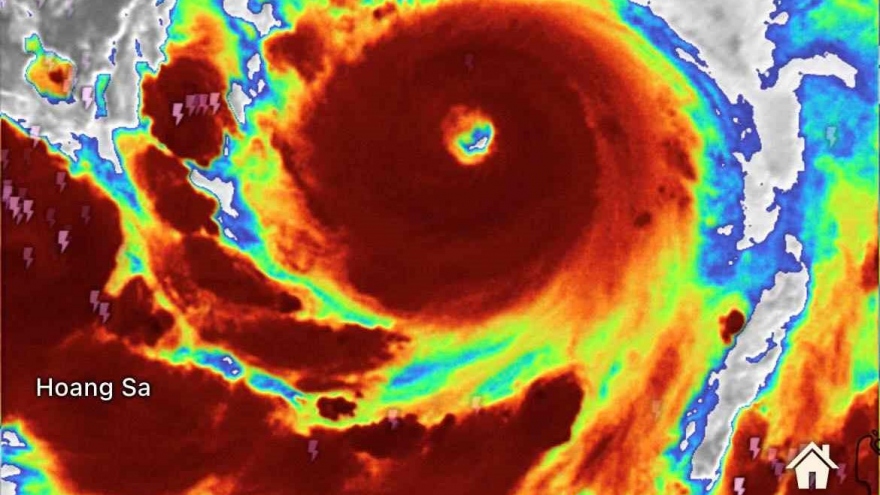
Khả năng xuất hiện 1-2 cơn bão nữa trên Biển Đông từ nay tới hết tháng 9
Khả năng xuất hiện 1-2 cơn bão nữa trên Biển Đông từ nay tới hết tháng 9

VOV.VN - Chuyên gia nhận định, có thể từ nay đến hết tháng 9, trên Biển Đông sẽ xuất hiện 1-2 cơn bão nữa

Khả năng xuất hiện 1-2 cơn bão nữa trên Biển Đông từ nay tới hết tháng 9
Quốc tế tiếp tục hỗ trợ Việt Nam khắc phục hậu quả bão Yagi
Quốc tế tiếp tục hỗ trợ Việt Nam khắc phục hậu quả bão Yagi

VOV.VN - Chính phủ Anh đã công bố khoản viện trợ nhân đạo trị giá 1 triệu bảng Anh (tương đương 32 tỷ đồng) cho Việt Nam để hỗ trợ giai đoạn đầu ứng phó với tác động của bão Yagi. Chương trình Phát triển Liên hợp quốc (UNDP) đã hỗ trợ chính phủ và người dân Việt Nam phục hồi sau trận bão mạnh nhất đổ bộ vào Việt Nam trong ba thập kỷ qua.

Quốc tế tiếp tục hỗ trợ Việt Nam khắc phục hậu quả bão Yagi
Đón xem chương trình "Việt Nam kiên cường" gây quỹ ủng hộ đồng bào bị bão lũ
Đón xem chương trình "Việt Nam kiên cường" gây quỹ ủng hộ đồng bào bị bão lũ

VOV.VN - Đài Truyền hình KTS VTC, Báo Hà Nội Mới, Công ty Oscar Media phối hợp tổ chức chương trình nghệ thuật “Việt Nam kiên cường” để gây quỹ ủng hộ đồng bào vượt qua bão lũ.

Đón xem chương trình "Việt Nam kiên cường" gây quỹ ủng hộ đồng bào bị bão lũ
ĐỜI SỐNG
VĂN HÓA
KINH TẾ
Du lịch
THỊ TRƯỜNG
PHÁP LUẬT
THỂ THAO
THẾ GIỚI
Ô TÔ - XE MÁY
Tin 24h
Dấu ấn VOV
SỨC KHỎE
Dự báo thời tiết